
Gobierno mantiene la suspensión de las labores este sábado ante persistencia de los efectos de Melissa
SANTO DOMINGO. El Gobierno dominicano decidio en la tarde de este viernes mantener el cierre de las labores públicas también este sábado en las provincias que están en alerta roja que suman 12 en total.
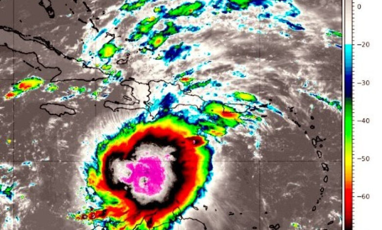
Ello así porque persistirán las lluvias, ya que la tormenta Melissa continúa avanzando de manera lenta, a solo 4 kilometros por hora y se cree que podría convertirse en huracán en las proximas horas.
El presidente Luis Abinader expresó que el Gobierno que preside se mantiene en contacto permanente con el Centro de Operaciones de Emergencias (COE), además de las Fuerzas Armadas, la Defensa Civil y los Cuerpos de Bomberos, para garantizar la seguridad de la población, lo que definió como la prioridad de su gobierno.
El primer mandatario de la nación dijo que las medidas que se han tomado tiene el objetivo de preservar vidas y mantener la seguridad de la población.
Reveló así mismo que esas medidas serán revisadas este sábado, a las 9 de la mañana, cuando sea efectuada una reunión de seguimiento desde el COE.
TORMENTA SIGUE ESTACIONARIA.
El presidente Abinader expresó que estamos ante un fenomero errático y que por más tiempo ha afectado al territorio nacional, según han analizado los expertos.
Sostuvo que esa tormenta es un fenómeno inusual y persistente, únido en los últimos años.
Explicó que Melissa se mantiene prácticamente estacionaria, lo que ha provocado que sus efectos se extiendan durante varios días sobre gran parte del país, generando lluvias continuas e inundaciones, las que han originado serios problemas en varias provincias.
“Esta es una tormenta que podría incluso fortalecerse en las próximas horas y convertirse en huracán. Su trayectoria es incierta y su desplazamiento muy lento, lo que aumenta los riesgos para la población”, añadió el mandatario.
El Instituto Dominicano de Meteorología ha dicho que se proyecta que las lluvias continúen este sábado en el Gran Santo Domingo, dirigiéndose hacia el sur/suroeste en los próximos días, pudiendo extenderse hasta principios de la próxima semana.
Por esa razón el Gobierno mantiene el llamado a la población a seguir las actualizaciones meteorológicas a través de los medios de comunicación y a acatar las instrucciones de las autoridades, que continúan en sesión permanente, monitoreando la evolución de la tormenta.
Abinader habló en una rueda de prensa donde estaba acompañado de otros funcionarios del Gobierno como la vice presidenta Raquel Peña, el Ministro de la Presidencia, José Ignacio Paliza, la directora del Instituto Dominicano de Meteorología, Gloria Ceballos, el director del Centro de Operaciones de Emergenicas, José Manuel Méndez, entre otros funcionarios.



